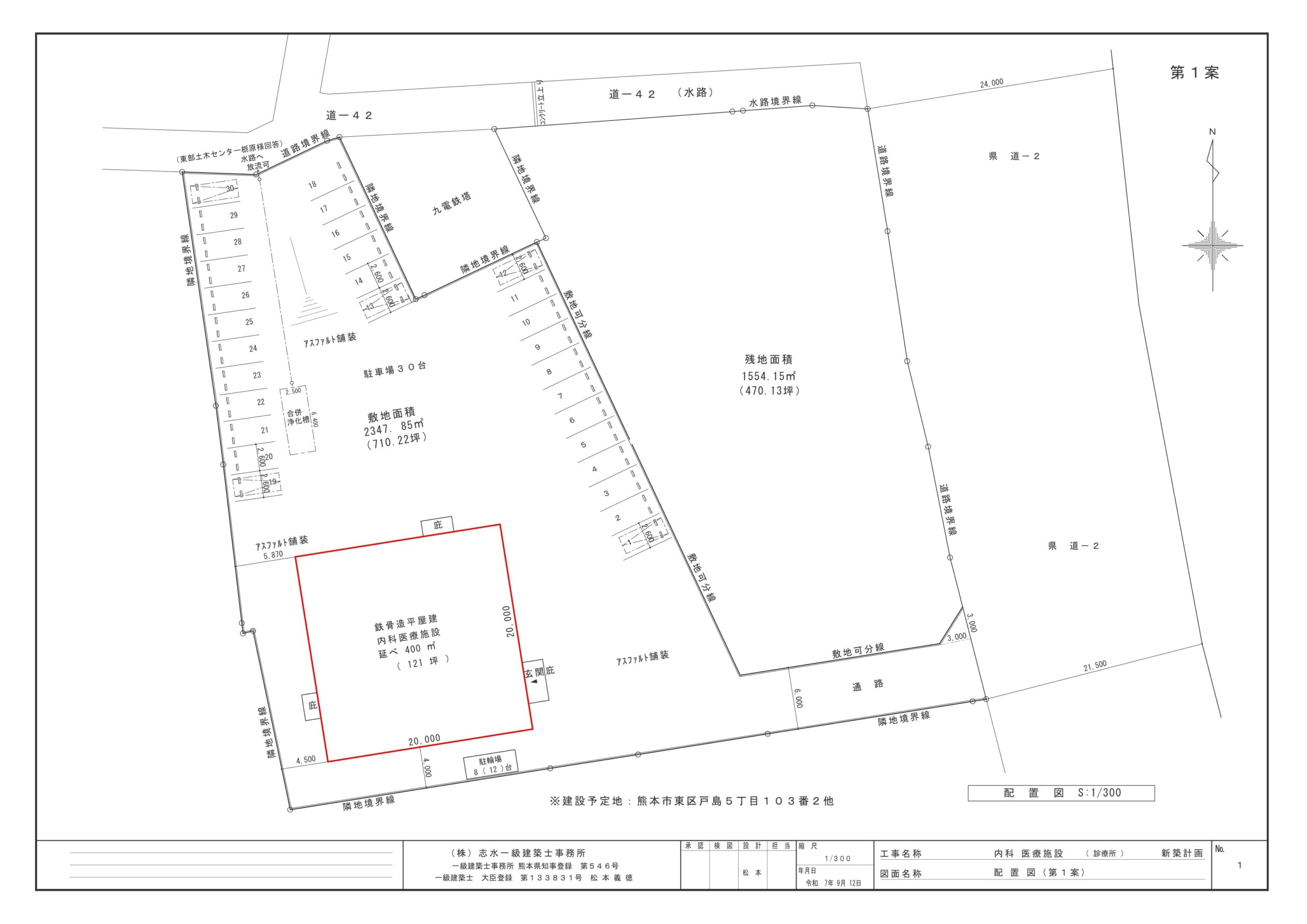
物件63 貸地:戸島5丁目事業用定期借地用地
益城菊陽線沿い。空港線との交差点近く。病院・診療所・通所系社会福祉施設・入所系社会福祉施設等向き。
基本情報
| 住所/沿線・交通 | 熊本市東区戸島5丁目 | 価格 | 土地建物賃料:130万円/月 ※記載の賃料130万/月は、参考プランの内科医院(案)を建設した場合の土地・建物賃料。 保証金:24ヶ月 ※賃料・敷金・保証金等は建物の用途や規模等により別途相談致します。 |
|---|---|---|---|
| 土地面積 | 実測 2,347.85㎡(710.22坪) | 坪単価 | |
| 建築条件 | ※条件(建物の計画、用途、貸地面積等)については委細応談致します。 |
引渡可能時期 | 相談 |
| 物件種別 | 事業用定期借地 |
その他情報
| バス/その他交通 | JR豊肥本線 光の森 距離4,400m | 土地権利 | 地上権 |
|---|---|---|---|
| 都市計画 | 市街化調整区域 集落内開発指定区域 | 用途地域 | |
| 地勢 | 平坦 | 建蔽率/容積率 | |
| 国土法 | 地目 | 畑 | |
| 取引態様 | 専任媒介 | 設備 | 浄化槽区域。上水道引込必要 |
| 私道負担面積 | 無し | 私道負担割合 | 無し |
| 法令 | 農地転用、開発許可申請を要する | 接道状況 | 東側益城菊陽線幅員約9.0mに約21.5m 接面 |
| 小学校区 | 中学校区 | ||
| 現況 | 更地 | 仲介手数料 | 賃料1ヶ月分+消費税 |
| その他情報 | 条件等委細相談。 ☆病院、福祉施設向き ・事業用定期借地用地 ・戸島町北地区産業施設(物流センター予定地)の西側 ・敷地面積:2347.85㎡(710.22坪) ・目的・用途による建築の可否の相談から、プラン設計・お見積り等、幅広くご相談を承ります。 ・内科医院、福祉施設の参考プラン有 ※記載の賃料130万/月は、参考プランの内科医院(案)を建設した場合の土地・建物賃料。 |
|---|
![]()








-2.png)
-1-scaled.jpg)





